Milcom Monitoring Post Profiles

Monday, April 09, 2018

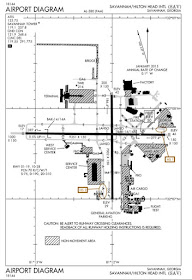
Savannah/Hilton Head Intl (KSAV) Airport Diagram